Local

Nearly 200 rental units planned in duplex village that could be built in busy Columbia area

A village of new duplexes in one of Columbia’s busiest commercial corridors is in the works, and the developer hopes the project fills a gap for area families looking to rent.

“There’s a real need in this area for workforce housing,” said developer Graeme Moore, who also owns the local real estate firm The Moore Company.

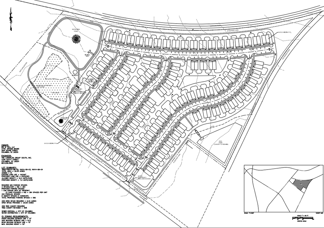
Ninety-one new duplexes, or 182 residential units, are planned for a currently wooded 25-acre lot between Trinity Drive and Caroline Road in Columbia’s Capitol View neighborhood, just north of Lower Richland.

The village would be half a mile from large retailers including the Garners Ferry Road Walmart Supercenter, Lowes and Aldi, as well as within a mile of several large hotels.

The duplexes would be connected side-by-side, and each unit would have two stories, according to the site plan. The units would all have three bedrooms, and each duplex would also have a garage.

The project is not connected to The Moore Company. Instead, Graeme Moore is developing it under the recently formed Big & Tall, LLC.

Moore hopes this project, dubbed Trinity Townhomes, will be distinctly different from other rental developments in Columbia in its community feel. Walking trails, a dog park and a fish pond are all part of his final vision.

A site plan showing where 91 new duplexes are expected to be built behind Columbia’s Garners Ferry Walmart.
A site plan showing where 91 new duplexes are expected to be built behind Columbia’s Garners Ferry Walmart. Columbia Planning Commission

Part of that vision entails creating a single-family neighborhood of renters where families feel like they know their neighbors. Apartment complexes can have an anonymous feeling, Moore said.

“We want this to feel like a neighborhood, a community,” he added.

Moore expects rent to fall between $1,800 and $2,100 per month per unit, but that may change depending on the rental market.

Moore is developing the project with private investors. He declined to say who those partners are or what the estimated total price tag would be, but he did say there is no public money going toward the development.

Area residents initially raised concerns about increased traffic in the area if the development came to fruition, but Moore said he believes those concerns have been addressed by changing where residents would enter and exit the development.

Moore is in the early stages of getting the development off the ground. He expects to break ground by the end of 2022 or early 2023.

The city’s Planning Commission will consider the project at its June 9 meeting, held at 4 p.m. in City Council chambers.

Morgan Hughes
The State
Morgan Hughes covers Columbia news for The State. She previously reported on health, education and local governments in Wyoming. She has won awards in Wyoming and Wisconsin for feature writing and investigative journalism. Her work has also been recognized by the South Carolina Press Association.
Get one year of unlimited digital access for $159.99
#ReadLocal

Only 44¢ per day

SUBSCRIBE NOW