Local

A new village of townhouses could be coming to this Columbia neighborhood

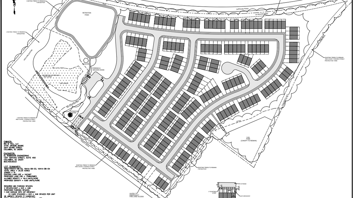
The layout of a would-be village of town houses proposed off Garner’s Ferry Road east of I-77. Developer Stanley Martin Homes hopes to build 223 units.
The layout of a would-be village of town houses proposed off Garner’s Ferry Road east of I-77. Developer Stanley Martin Homes hopes to build 223 units. Columbia Board of Zoning Appeals

A village of 223 townhouses might be coming to a neighborhood on Garners Ferry Road just east of Interstate 77.

Virginia-based developer Stanley Martin Homes is asking for permission to turn a 25-acre wooded area at the intersection of Garners Ferry Road and Greenlawn Drive into a village of townhouses, according to documents filed with Columbia’s Board of Zoning Appeals.

Local developer Graeme Moore of The Moore Company had previously planned to construct a duplex village in the same location. He has now stepped away from that project and is selling the property to Stanley Martin Homes.

The new proposal is for 1,800-square-foot townhomes, each with two stories and a front-facing garage, according to the city documents.

The developer is asking for a special zoning exception to build the townhomes, which it says is a project worth $9 million.

The goal of the project is to sell the units, so each townhouse would be owner-occupied, according to the city documents. That is a shift from Moore’s previous plan from the property, which would have created a village of rental units.

Moore said Stanley Martin Homes made a good offer for the land, so he stepped away from his initial plans to sell the 25 wooded acres the village will be built on.

Columbia’s Board of Zoning Appeals will consider the proposal at a regular meeting Jan. 5.

Morgan Hughes
The State
Morgan Hughes covers Columbia news for The State. She previously reported on health, education and local governments in Wyoming. She has won awards in Wyoming and Wisconsin for feature writing and investigative journalism. Her work has also been recognized by the South Carolina Press Association.
Get one year of unlimited digital access for $159.99
#ReadLocal

Only 44¢ per day

SUBSCRIBE NOW